レイドスキン PRO-A
「オールインワン」スキンイメージングアナライザー
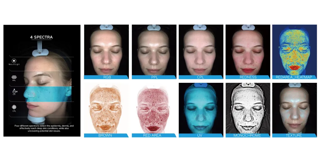
肌の老化、感度、色素沈着、肌の質感、肌のトーンなどを分析するユーザー中心の検出システムです。このシステムは、専用の画像撮影システムと画像解析ソフトウェアを活用し、肌の深層の状態を可視化することで、老化の進行度を数値化し、客観的なデータに基づいた分析を可能にします。
サイズ | 本体サイズ:L380 x W380 x H560mm 本体重量:10kg |
---|
※当日発送(在庫がある商品)のご注文締切時間はAM11:00です。それ以降のご注文は翌営業日受付となります。土日祝は休業とさせていただきます。
※お取り寄せ商品もございますのでお急ぎの場合は1週間ほど余裕をもってご注文をお願い致します。
※お取り寄せ商品もございますのでお急ぎの場合は1週間ほど余裕をもってご注文をお願い致します。
肌の老化と色の変化をまとめて分析し、
肌老化を視覚化するシステム
肌老化を視覚化するシステム
AI分析による肌老化の科学的定義

人工知能技術(顔の老化分析のためのディープラーニング)
大規模データを利用した皮膚画像を使用し、人工知能の深層学習技術を用いて老化指数モデルを構築しました。
このモデルには、8つの次元が含まれています。
(顔のしわ、眉間のしわ、魚尾紋、眼の周りのしわ、笑いしわ、マリオネットライン、口角のしわ、茶色の斑点)
4種類の皮膚状態を対象として

異なる肌トーンをターゲットにする

異なる肌トーンに応じて異なるアルゴリズムを適用し、顧客にパーソナライズされた検出ソリューションを提供することで、肌画像検出をより正確に行います。
遠隔でレポートをチェックする

分析したレポートは遠く離れた場所からでも確認することができます。
※遠隔レポートは、WindowsとAndroidに限ります。
製品のマーケティング

設定画面で事前に設定しておくことで、分析結果に合わせたオススメ商品の提示が可能です。
仕様

名称 | レイドスキン Pro-A |
撮影画素数 | 1200万画素 |
スペクトル | RGB昼光/交差偏光/平行偏光/UV紫外線 |
照明技術 | 個体LED |
消費電力 |
待機電力:12W 最大電力:39W |
入力 | 24V/5A |
インターフェイス | USB3.0 |
重量 | 10kg |
サイズ | L640 x W450 x H460mm |
おすすめ商品

